Beneath the surface of the Pacific Ocean, roughly 300 miles off the coast of Oregon and submerged nearly 4,900 feet deep, lies a massive geological force that is silently preparing to erupt: Axial Seamount. While many people associate U.S. volcanic risk with Yellowstone or Mount St. Helens, the real threat is brewing underwater. Axial Seamount is the most active submarine volcano in the Pacific Northwest, and scientists now believe it may erupt at any moment between mid-2024 and the end of 2025.
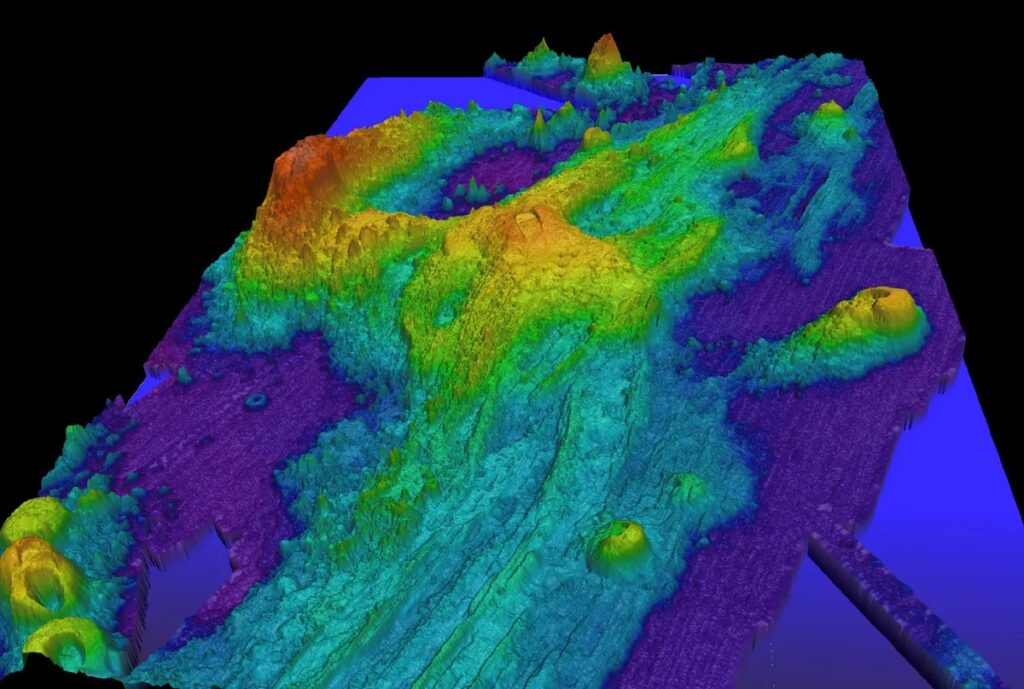
This underwater volcano, the youngest in the Cobb–Eickelberg Seamount chain, sits uniquely on the Juan de Fuca Ridge—a tectonic boundary where the Pacific and Juan de Fuca plates are slowly pulling apart. Combined with a powerful geological hotspot beneath it, Axial’s location makes it a dynamic and unpredictable force. Its summit rises about 3,600 feet above the ocean floor, forming a large caldera that’s collapsed multiple times during previous eruptions.
The warning signs are becoming increasingly difficult to ignore. Researchers from Oregon State University and the University of Washington have confirmed that the volcano is showing eerily similar inflation patterns to what was recorded prior to its last eruption in 2015. Magma is building up beneath the seafloor, creating swelling that could result in an explosive release of energy. Instruments have measured a significant increase in earthquake activity, reaching up to 1,000 microquakes per day—though scientists caution that the threshold for eruption may be closer to 2,000 per day sustained over weeks or months.

Volcano forecasting remains an inexact science, especially for submarine systems, but the tools monitoring Axial Seamount are some of the most advanced on the planet. Mark Zumberge, a geophysicist at the Scripps Institution of Oceanography, refers to Axial as the “most well-instrumented submarine volcano on Earth.” Researchers have placed extensive arrays of sensors on the seafloor, measuring everything from crustal uplift to seismic vibrations. This makes Axial not just a potential eruption site, but also a living laboratory for studying volcanic behavior, tectonic movement, and seafloor spreading.
Despite its intense geologic activity, a potential eruption from Axial Seamount poses no risk to human life or infrastructure. There will be no tsunamis, ash clouds, or mass evacuations. In fact, most people wouldn’t even notice it happened—unless they were watching scientific monitoring stations or working aboard an oceanographic research vessel. However, for the scientific community, such an event would be monumental. The data gathered could reshape our understanding of volcanic activity beneath the oceans and offer critical insights into similar systems worldwide.

Beyond its seismic threat, Axial Seamount also supports one of the most extreme and fascinating ecosystems on Earth. Its hydrothermal vents, which can reach temperatures over 700°F (370°C), host life forms that thrive in conditions previously thought uninhabitable. Microbes feed on volcanic gases; tube worms, crabs, and even octopuses live within these mineral-rich, high-pressure environments. Researchers have compared these vent fields to isolated islands, each home to unique microbial communities. These discoveries provide vital clues into early Earth life and even the possibility of extraterrestrial ecosystems on planets with subsurface oceans, like Jupiter’s moon Europa.
The significance of Axial Seamount goes far beyond local geology. Submarine eruptions account for more than 75% of all volcanic activity on Earth, yet they remain among the least observed or understood phenomena. With Axial on the verge of an eruption and backed by state-of-the-art monitoring systems, scientists are poised to learn more than ever before. This moment represents a rare opportunity to validate decades of volcanic models, test prediction hypotheses, and gather high-resolution data from an underwater eruption in real time.
In short, while the general public may not need to panic, researchers around the world are paying very close attention. The seismic swelling, increasing tremors, and thermal anomalies all suggest that Axial Seamount is preparing to release its next powerful eruption beneath the waves. As oceanographers wait with anticipation, the world could be on the brink of one of the most important volcanic events of the decade—one that will reshape not just the seafloor, but our scientific understanding of how our planet works from the inside out.

Leave a Reply